V/l Jefferson (btwn 1280&1290) Windsor, ON

PROPERTY INFO

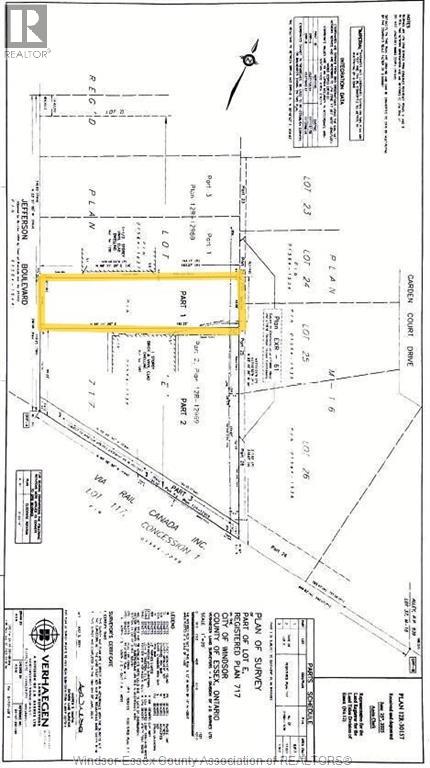
Attention Builders and Self Builders! A fantastic opportunity! This 42 x 163.22 ft extra deep building lot is in a great Riverside location and is ready to build. Close to all amenities, parks and walking distance to David Suzuki Public School and George P Vanier French Catholic School. Sewers at lot line. Buyer to verify all service locations and permit requirements. Call for more information. Survey & report to confirm sewers locates is available. (id:4555)

PROPERTY SPECS

Listing ID 26003885
Address V/L JEFFERSON (BTWN 1280&1290)
City Windsor, ON
Price $179,900
Land Size 42 FT X 163.22 FT
Type No Building
Status For sale

EXTENDED FEATURES

Ownership Freehold Date Listed 2026-02-24 19:01:35Days on Market 49

REQUEST MORE INFORMATION

LISTING OFFICE:
Bob Pedler Real Estate Limited, David Pedler
Loading...